富士吉田市上吉田物件

  1. ホーム
  2. 土地 物件一覧
  3. 富士吉田市上吉田物件
売地

住宅用地

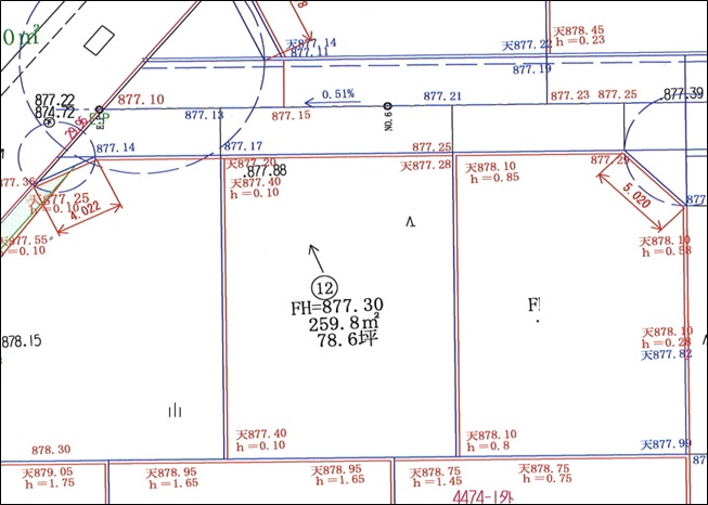
商談中 熊穴分譲地⑫ 区画⑫  富士吉田市上吉田  

9,039,000

物件番号:C0001923 取引形態<売主>



物件概要
所在地 富士吉田市上吉田
交通 富士急行線 富士山駅 徒歩24分
タウンスニーカー『熊穴団地』 徒歩1分
価格 9,039,000 土地面積 販売予定面積:259.80m2(78.60坪)
セットバック 不要 3.3m2単価 11.5万円
土地権利 所有権 地目 山林
都市計画 非線引 用途地域 第一種低層住居専用地域
建ぺい率 40% 容積率 60%
地勢 ひな段 環境 住宅街
現況 更地 引渡日 2025年12月下旬
引渡条件 造成渡し 接道 北 公道 接面 道路幅:6m 接道幅:9.99m
東 公道 接面 道路幅:6m 接道幅:20.81m
法令上の制限  
設備 電気,上水道,下水道
各戸設備  
備考 開発許可取得済 山梨県指令富東建第4732号
実測清算有り
造成工事の進捗により引渡し予定日が変更となる場合があります。
 

お問い合わせ

ページの先頭へ

前のページへ戻る