共栄商事 会社概要
お問い合わせ
サイトマップ
文字サイズ:
小
中
大
富士吉田市,富士河口湖町,忍野村の不動産情報
共栄商事株式会社ホーム
買いたい方(一戸建て)
買いたい方(土地)
借りたい方(アパート)
借りたい方(店舗)
借りたい方(事務所)
活用したい方(売りたい)
活用したい方(貸したい)
ホーム
土地 物件一覧
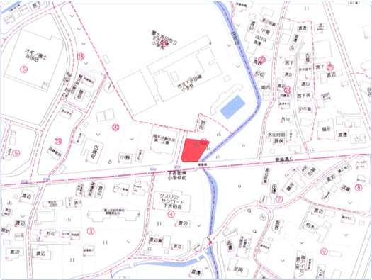
富士吉田市下吉田九丁目物件
住宅・店舗用地
下吉田9丁目 富士吉田市下吉田九丁目
21,750,000
円
物件番号:C0001925 取引形態<専任媒介>
近隣に小学校や商業施設があり利便性が高い物件です。
物件概要
所在地
富士吉田市下吉田九丁目
交通
富士急行線 葭池温泉前駅 徒歩12分
価格
21,750,000
円
土地面積
公簿:599m
2
(181.19坪)
セットバック
不要
3.3m
2
単価
12
万円
土地権利
所有権
地目
宅地・田
都市計画
非線引
用途地域
第一種住居地域
建ぺい率
60%
容積率
200%
地勢
平坦
環境
住宅街
現況
更地
引渡日
相談
引渡条件
現況渡し
接道
南 公道 接面 道路幅:6m 接道幅:13m
法令上の制限
農地法
設備
下水道
各戸設備
備考
農地法5条許可申請が必要です。
前面道路に上水道本管の埋設があります。
西側道路は建築確認には使用できません。
前面道路が計画道路に指定されています。
この物件を選択する