南都留郡山中湖村平野物件

  1. ホーム
  2. 土地 物件一覧
  3. 南都留郡山中湖村平野物件
売地

住宅用地

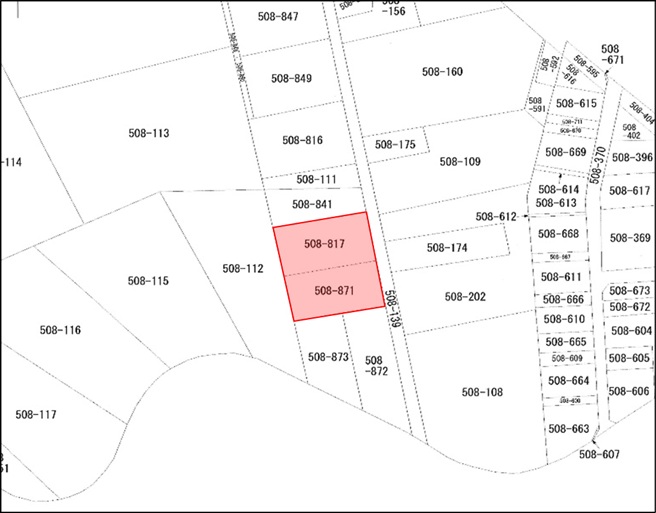
NEW 平野売地 508-817 508-871  山中湖村平野  

35,000,000

物件番号:C0001938 取引形態<専任媒介>



物件概要
所在地 山中湖村平野
交通 富士急バス『撫岳荘前』 徒歩5分
山中湖ⅠC から  車13分
価格 35,000,000 土地面積 公簿:2000m2(605坪)
セットバック   3.3m2単価 57,800
土地権利   地目 山林
都市計画 非線引 用途地域 無指定
建ぺい率 20% 容積率 60%
地勢 傾斜地 環境 近隣別荘多し
現況 更地 引渡日 相談
引渡条件 現況渡し 接道 東 私道 接面 道路幅:5m 接道幅:44.20m
法令上の制限 自然公園法
設備  
各戸設備  
備考 富士箱根伊豆国立公園法 第3種特別地域
前面道路は建築基準法42条1項3号に認定されています。
上水道本管の埋設がないため水道の利用には井戸の掘削工事が必要です。
 

お問い合わせ

ページの先頭へ

前のページへ戻る